


Teren intravilan l parcelat l Dealul negru
Rasca 88
34.100€
- ID:WST3349
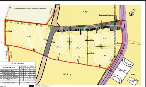
- S. teren:1100.00 mp
- Front stradal:25.00 m
- Nr. fronturi:2
- Clasificare teren:Intravilan
Descriere
Se ofera aaaaaaaspre vanzare parcele de teren intravilan si una de teren extravilan, cu suprafete cuprinse intre 1050 si 2500 de mp, situate in zona Dealul negru - Cluj, intr-o zona pitoreasca si aerisita.
2 fronturi la drum
Drum privat de acces
Utilitati disponibile
Teren Intravilan
Pretabil pentru cabane/ case de vacanta
Zona linistita, cu priveliste
Parcele ideale pentru dezvoltare rezidentiala sau investitie, intr-o zona in plina expansiune, aproape de natura, dar cu acces facil catre oras.
Dealul Negru - Cluj
Pentru mai multe detalii sau pentru stabilirea unei vizionari, puteti sa ne contactati telefonic
Citeste mai mult
2 fronturi la drum
Drum privat de acces
Utilitati disponibile
Teren Intravilan
Pretabil pentru cabane/ case de vacanta
Zona linistita, cu priveliste
Parcele ideale pentru dezvoltare rezidentiala sau investitie, intr-o zona in plina expansiune, aproape de natura, dar cu acces facil catre oras.
Dealul Negru - Cluj
Pentru mai multe detalii sau pentru stabilirea unei vizionari, puteti sa ne contactati telefonic
Specificatii
Curent
Apa
Iuliu Chereches
0799 333 334
Esti interesat de aceasta proprietate ?